Email Newsletters

Bolton receives nearly $1M for roundabout project near high school

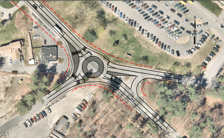
The Town of Bolton was granted $938,000 by Massachusetts to design and construction of a roundabout at the intersection of Main Street, Forbush Mill Road, and Green Road by Nashoba Regional High School, according to a Wednesday press release from the Executive Office of Housing and Economic Development.

The award was part of a $9.8-million allotment by Gov. Charlie Baker’s administration to invest in small and rural towns’ MassWorks projects.

The intersection becomes congested at the beginning and end of the school day as Green Road leads up to the regional high school, which includes students from Bolton, Lancaster, and Stow.

Bolton’s select board voted 2-1 in favor of the MassWorks application in May, according to the meeting minutes. Board member Stanley Wysocki voted no, stating he supported the application but not the design choice for the roundabout.

Bolton was the only Central Massachusetts town to receive a grant from this road infrastructure allotment for rural towns. Other awards went to road repairs, realignment, and connectivity projects throughout the commonwealth.

– Digital Partners -

December Flash Sale! Get 40% off new subscriptions from now until December 19th!

Close the CTA

Get our email newsletter

Stay up-to-date on the companies, people and issues that impact businesses in Central Massachusetts.

Close the CTA